今日の天気:曇り時々雨
水温:22℃  気温:20℃
風向:北北西 波高:1.5m→2.5mうねりを伴う
どーもHATAちゃんです!今日はアークのゲストはいませんでしたが、乗り合いのショップさんが乗船予定だったので、レジェンド号出航です!
ボートクルーとして乗船したので、じっくりと普段行かない深場の方などを調査してきましたよー!
昨日とは打って変わってマクロモードで潜りましたよー!
一番のお目当ては外しましたが、なんとなく場所の見当はついたので、またリベンジしに行きたいと思います!
それでは本日の復習です!

アマミスズメのちびが出てくる季節になりましたねー!ちらほら見かけます!

こいつはいたけど、カエルアンコウが軒並み行方不明、、、??1個体は深場にいたらしいけど節穴でした、、、

先日は見に行ってなかったけど生存確認です!

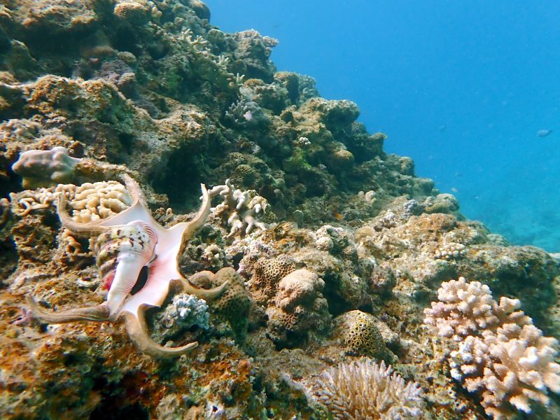
深場でぬぅ~っと出てきてびびったぁー!

カニちゃんですよー!先日もいましたね!オラウータンではないけど、クモガニの仲間ってことで!
ウミウシは、、、

シロブチクセニアは定位置キープで嬉しい発見!また見に行かねばー!
ラストは、、、

コモチカエデコケムシ!でいいのかな。
もう少し形が整った個体探したかったけど、ダイコン忘れて残留窒素との闘いだったため妥協、、、
といった感じで、天気は昨日に引き続きご機嫌斜めでしたが、マクロをしてれば問題なーい!
マクロに突っ走る慶良間も楽しいですねー!
深場に興味ある人もそのうちご案内しますねー!
それでは海ログまた次回ー!
 
                

 
                     
                     
                     
                    

 
                         
                         
                         
                         
                         
                         
                         
                         
                                       
                                       
                                       
                                       
                                       
                                       
                                       
                                       
                

