今日の天気:降ってたり曇ってたり
水温:21℃ 気温:20℃
風向:東北東 波高:1.5m
どーもHATAちゃんです!先日、慶良間でファンダイブ!とは言っても付添みたいなもんだったので、カメラ持ち込んでちょこっとだけ水中調査!そんな様子を少しだけお届けしたいと思いまーす!

ブルーの中に魚たちがわぁ~っとなっている感じ、いいですよねぇ~!

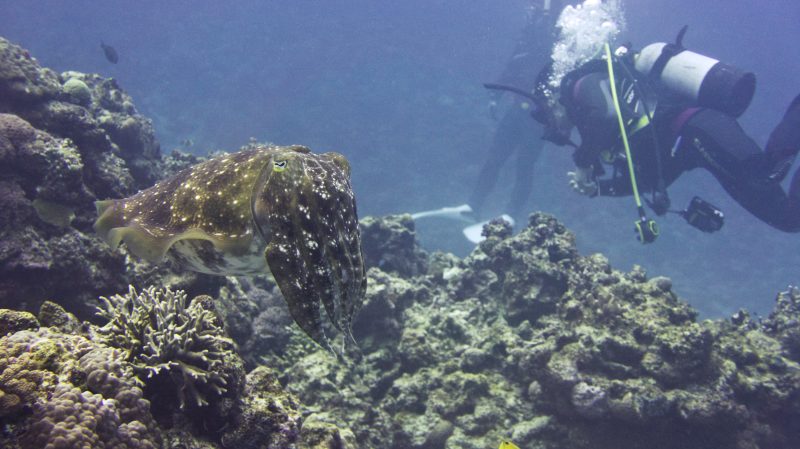
巨大なコブシメも!産卵の季節ですねー!

ダイオウサンゴによくついているよね??

にょろ~んとチンアナゴ!定期的に撮りたくなるやつ!

鮮やか~なハナゴンベ!幼魚が撮りたいー!

ハダカハオコゼは定位置キープ!少ししか探してないけど茶色のどっかいった??

さーて、どこにいるでしょうかー??

良ーくみると、目玉焼きがいっぱいついてます!トンプソンアワツブガイ!
ラストは、

ホネホネロックのガイコツホヤ!ここにはいつもついてる気がするような??
さてさて、明日からHATAちゃんは冬休みに入りまーす!
2週間ほど内地に帰りますが、アークダイブは年中無休!いつでも遊びに来てくださいねー!
それでは冬休みに明けにまたお会いしましょう!海ログ次回もお楽しみにー!





